Breneman Square Subdivision
2018-2021

From State Street, go North of 36th, East on Breneman St. - This subdivision consists of 17 lots. Homes built by Marmillion Development.

North Basin
2016-2017

Ascending North, up Bogus Basin Rd. - This subdivision consists of 3 luxury view lots with upscale homes.

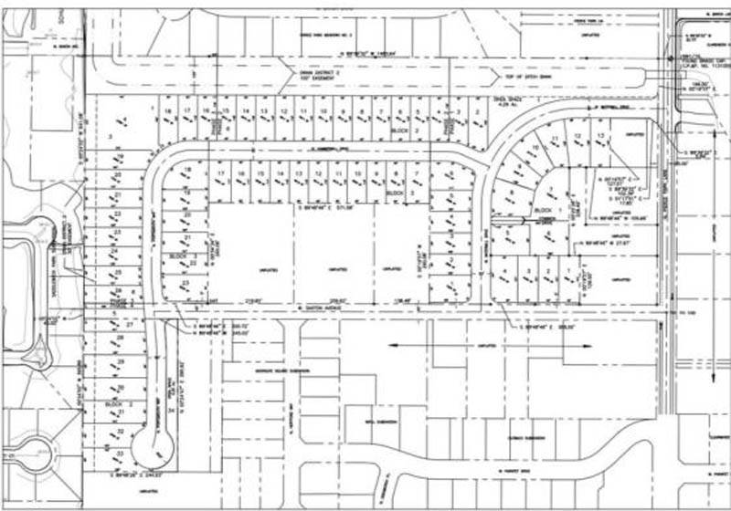
Millwell Subdivision
2015-2018

From Hill Rd, head south on Pierce Park Lane, turn right on Saxton Ave. - This subdivision consists of 97 lots. Construction starts in 2017 and ending in 2018.

Leadville Subdivision
2015

On the SW Corner of Leadville and Iowa Street - This rowhouse project was constructed in 2015 as a four-unit complex with detached garages.

Lawrence Square Subdivision
2014-2015

From State Street, North on Bogart Lane to Caswell Subdivision - This development consisted of 8 single family homes with two common lots.

Laney Greens
2013

This development consisted of 17 single family homes.

Eyrie Canyon Subdivision
2013

This development consisted of 13 single family homes.

Kinnick Place
2011

On the West corner of Iowa Street and S Gekeler Lane - This is a 12-lot project of single-family homes.

Sunset Commons
2011

This is a 20-lot project of single-family homes.

Angora Subdivision
2009

This is a 5-lot project of single-family homes.

36th Street Garden Plaza
2007

Located at the roundabout on 36th street and Hill Rd.

Pyperay Subdivision
2007

This is a 9-lot project of single-family homes.